BY SARAH STEPHENS
ELMORE/AUTAUGA NEWS
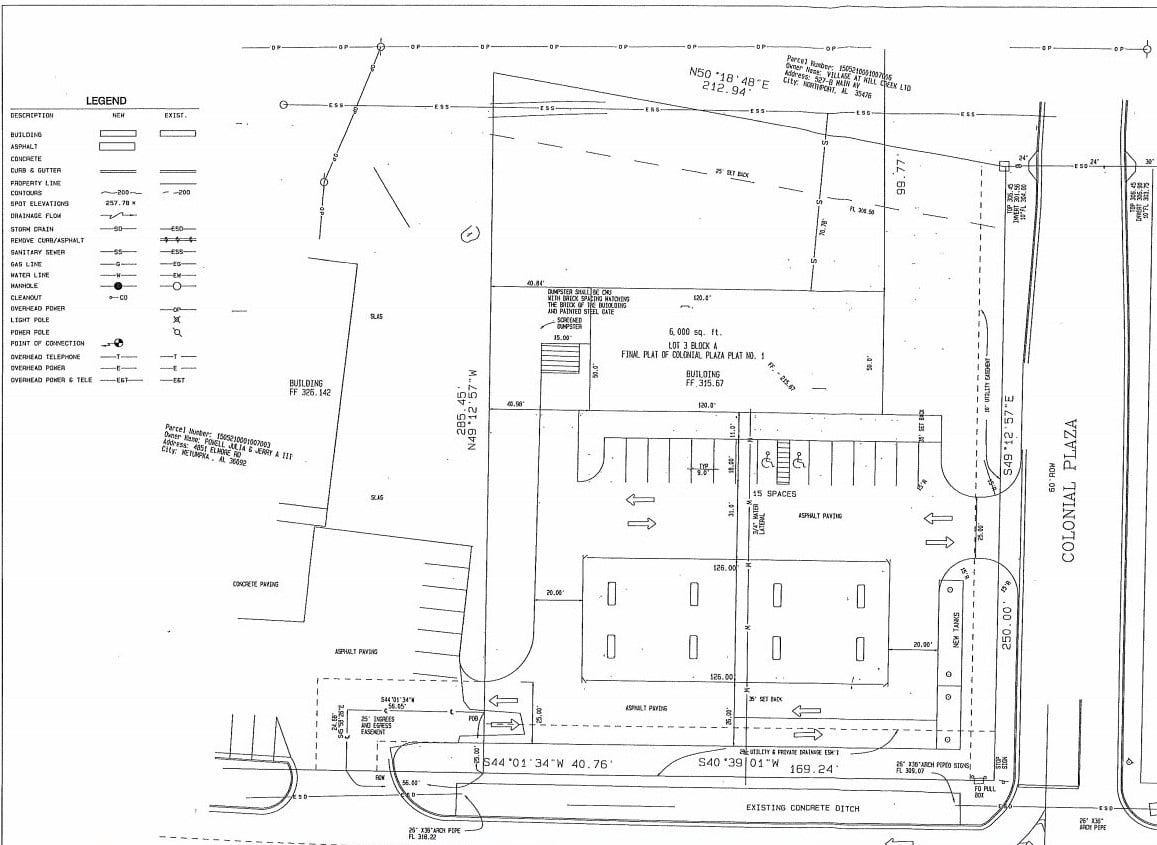
Tuesday night the Millbrook City Council approved a Site Development Plan for a new 6,000 SF Beeline Convenience Store on Hwy. 14 near New Life Academy and Colonial Plaza. Actual construction is expected to begin in early 2022.
Millbrook’s Project Manager Stuart Peters explained that the new Beeline Store is now bigger than originally expected, by over 2,000 square feet.
“This is for a convenience store along Hwy. 14 next door to Colonial Plaza and in proximity to New Life Christian Academy,” Peters said. “The project previously approved decided to expand.”
Stuart said the timeline is a building permit submission close to year end (November/December) with onsite project start targeted for Jan. 2022.
The owner/developer elected to expand the original 4,000 square foot store by 2,000 SF…as they have plans for expanded retail and eatery options. The plan displays an eight-island concept, which is 16 gas pumps, planned for the store location
The project Architect is Glenn Wilson Clark who was in attendance last night representing the owner.
“It will be a nice, new facility with nice restrooms and it will be well-maintained throughout the years,” Clark said.
Mayor Kelley is excited about the continued investment in the city bringing job opportunities, conveniences and more eatery options.
“This is another example of continued development along the heavily travelled Alabama Highway 14 corridor,” Peters said. “The Mayor was particularly impressed with the planned architecture – a mix use of stone veneer, brick, EIFS upper accent bands and metal capped towers. The Council and Mayor have welcomed them to the community.”
The additional space is expected to include food services, though the details of that are still in the works. Officials with the development said talks have occurred with different franchises, and more information will be available in the future.
“I’ve seen the plans of the store and it is really attractive,” Millbrook Mayor Al Kelley said. “This is just another indication of the growth here, and the owner and developers realized they wanted a larger store to offer more retail space and an eatery for that area.”






